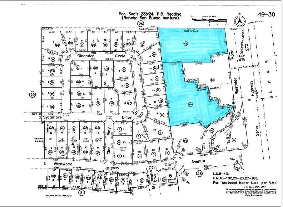
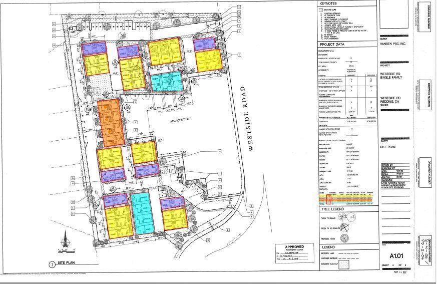
Description
Perfect infill multi-family housing opportunity in a fully developed area. Level 3.7 acres with all city utilities available at lot line. All social amenities are available within walking distance. Close to the new Costco store. This site had been approved for 37 townhouse units. Current RM-18 zoning could allow for higher density.
-
0BEDS
-
3.7ACRES
-
0BATHS
-
01/2 BATHS
School Ratings & Info
Description
Perfect infill multi-family housing opportunity in a fully developed area. Level 3.7 acres with all city utilities available at lot line. All social amenities are available within walking distance. Close to the new Costco store. This site had been approved for 37 townhouse units. Current RM-18 zoning could allow for higher density.
IDX information © 2026 Shasta Association of Realtors MLS. Information provided is for consumers' personal, non-commercial use and may not be used for any purpose other than to identify prospective properties consumers may be interested in purchasing. All data, including all measurements and calculations of area, is obtained from various sources and has not been, and will not be, verified by broker or MLS. All information should be independently reviewed and verified for accuracy. Properties may or may not be listed by the office/agent presenting the information. Data last updated: 2026-02-10T10:58:17.05.
Licensed in the State of California.
